Haiti - Environment : Sandy, indirect effects for Haiti (UPDATE) - HaitiLibre.com : Haiti news 7/7
 Download the revised decree and electoral calendar, published in the official journal





2nd edition of the Agro-Gastro-Artisanal Fair of the National School Canteen Program in Haiti

CONATEL salutes the remarkable contribution of amateur radio operators to the country

Technology «[...] young girls are shaping the digital future»

Cooperative project for disabled people in Haiti

The Ministry of Tourism salutes the exceptional contribution of the Haitian diaspora


more news


Zapping Haiti of April 26, 2026

37th Session of the Sectoral and Thematic Table on Social Protection in Haiti

The MTPTC is tackling the obstacles in the construction sector in Haiti

Training project in Haiti targeting 5,000 young people from high-risk neighborhoods

The cleanup of Cap-Haitien in Haiti continues through «Konbit Netwayaj»


more news


Haiti - Environment : Sandy, indirect effects for Haiti (UPDATE)
24/10/2012 07:44:31

Haiti - Environment : Sandy, indirect effects for Haiti (UPDATE)

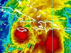
The tropical storm Sandy, this morning (5 a.m.), continues its trajectory a bit faster at 22km/h to the north, while gradually intensifying near the south coast of Jamaica.

5 a.m.

Sandy is localized Wednesday, October 24, 2012 at 5 am to 16.3 degrees north latitude and 77.0 degrees west longitude or about 190 km south of Kingston Jamaica, 475km south southwest of Guantanamo Cuba, 407km south-west of Les Cayes. Sandy moves northward at about 22km/h. Maximum winds blowing at 110km/h with gusts well above. The storm winds blowing at 220km from the center.

11 a.m.

Sandy, now a hurricane, is localized Wednesday, October 24, 2012 at 11 am to 17.1 degrees north latitude and 76.7 degrees west longitude or about 100 km south of Kingston Jamaica, 380km south southwest of Guantanamo Cuba, 336km south-west of Les Cayes. Sandy moves northward at about 20km/h. Maximum winds blowing at 130km/h with gusts well above. The storm winds blowing at 220km from the center.

The National Meteorological Centre (CNM) recalls that "according to the latest numerical analyzes, Sandy has a strong capacity pluviometric and could dump between 150 to 300 mm of rain on the plains and 500 mm on the mountains."

The CNM informs that the Caribbean basin remains under the influence of tropical storm Sandy. Indeed, the island of Haiti could know a weather disturbed by the indirect effects of the storm in the form of grain (rain and wind) and thunderstorm over the entire south frontage and few violent on the other departments of the country. Wednesday the weather will be cloudy to covered during the day ; Rain and thunderstorms are expected in mid-day and evening. Thursday, a few sunny periods in the morning, rain and thunderstorms in the evening.

Consequently, the SPGRD maintains this Wednesday, Oct. 24, 2012 to 6 a.m the alert phase at the level of Orange Vigilance, especially for the departments of the West, South, South East, Nippes and Grand Anse (at 8 a.m. throughout the country), against the threat of high winds, heavy rain and heavy seas with risks of rockslide, landslides and floods.

At 8 a.m., the level of Vigilance Red was decreed for the departments of the south, south-east, the Nippes, West and of the Grand-anse and Orange for the rest of the departments.

Cabotage

Cabotage activities are prohibited on the south coast of Haiti and the Gulf of Gonâve, and vessels must remain in their port or in sheltered waters until further notice.

Flights

However, it is imperative that local flights to and from the southern coast exercise caution because, to the extent that the system is close to Jamaica, gusts may happen at any time throughout the southern peninsula of Haiti.

HL/ HaitiLibre



Twitter Facebook Rss
Send news to... Daily news...




Why HaitiLibre ? | Contact us | Français
Copyright © 2010 - 2026
Haitilibre.com