Téléchargez le décret et le calendrier électoral révisés, publiés au journal officiel





iciHaïti - Programme HA-J0005 : Formation technique de 122 bénéficiaires

iciHaïti - Profil : Qui est Valéry Fils-Aimé, le nouveau Ministre de l’Environnement ?

iciHaïti - Éducation : Dictionnaire visuel de la langue des signes

iciHaïti - Bahamas : L’Ambassadeur d’Haïti visite une église haïtienne à Nassau

iciHaïti - Petit-Goâve : 2ème cohorte de femmes graduées dans des filières traditionnellement réservées aux hommes


+ de nouvelles


Haïti - Loisir : Le Saviez-vous ?

Haïti - Actualité : Zapping…

Haiti - FLASH : Liste complète du remaniement gouvernemental

Haïti - Politique : Le P.M. appelle à l’action, la rigueur et à l’unité nationale

Haïti - Qualif. C.M. Brésil 2027 : Victoire [2-0] des Grenadières contre le Suriname


+ de nouvelles



Haïti - IRMA : Risque d'impact d'intensité forte à extrême
07/09/2017 09:15:32

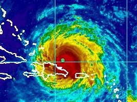
Haïti - IRMA : Risque d'impact d'intensité forte à extrême

Le Centre du dangereux Ouragan IRMA de catégorie 5 sous l'échelle SAFFIR -SIMPSON, se déplace au Nord-est de la République Dominicaine très tôt ce matin et s'approchera les côtes Nord d'Haïti dans les prochaines heures. La vitesse de déplacement continue d'augmenter, elle passe à 28km/h toujours dans la direction Ouest-Nord-Ouest.

Au vu du déplacement de l'Ouragan d'IRMA et de sa force destructive les conditions météo vont commencer à se dégrader pour devenir très dangereuses au cours des prochaines heures sur le pays notamment sur les départements du Nord-est, du Nord et du Nord-ouest, qui restent toujours sous des conditions des vents d'ouragan et ceux du Centre, de l'Artibonite et l'Ouest sous des conditions des vents de Tempête. IRMA maintient sa forte capacité pluviométrique allant de 200mm à 300mm par endroits pouvant causer des cas d'inondations sévères des coulés de boues, des glissements et d'éboulements de terrains. Les conditions maritimes demeurent dangereuses avec des vagues qui pourraient atteindre 4 à 5 m et engendraient des cas de submersions marines.

En conséquence, le SPGRD de concert avec la DPC et l'UHM passe ce jeudi 7 septembre 2017 à 5 heure am la phase d'alerte 2 au niveau de Vigilance Rouge (i.e. risque d'impact d'intensité forte à extrême) aux fortes pluies, de coup de vent et maintient l'activation du Plan National de Gestion des Risques et des Désastres (PNGRD) face aux menaces de fortes pluies et de forts vents avec risques d'éboulements, de forte houle, de glissements de terrain et d'inondations sur tout le pays particulièrement sur les départements du Nord, du Nord'Est, du Nord'Ouest, du Centre et de l'Artibonite.

Le SPGRD de concert avec la DPC et L'UHM recommande à la population s'installant dans les zones vulnérables de partir rapidement pour regagner les abris en suivant les consignes des autorités locales.

Le SEMANAH, l'OFNAC et l'AAN de concert avec l'UHM, interdit temporairement toutes les opérations maritimes et de vols en provenance ou à destination des Ports et Aéroports sur toute la région Nord du pays jusqu'à nouvelle ordre.

Lire aussi :

https://www.haitilibre.com/article-22033-haiti-flash-irma-a-415-km-du-cap-haitien-vols-annules.html

HL/HaïtiLibre



Twitter Facebook Rss
Envoyer l'article à... Nouvelles du Jour...
Read in English


Réagissez à cet article
Pseudo :
Email :

Votre adresse email ne sera pas divulguée - Commentaire refusé si votre adresse email est fausse


0 caractères saisis. | 1500 caractères restants.
Avant de réagir lisez notre charte de modération


 




Pourquoi HaïtiLibre ? | Contactez-nous | Charte de modération | Privacy policy | English
Copyright © 2010 - 2026
Haitilibre.com -n