Téléchargez le décret et le calendrier électoral révisés, publiés au journal officiel





iciHaïti - Justice : Interdiction de circulation des véhicules munis d’anciennes plaques d’immatriculation ou sans plaques

iciHaïti - Nord-Ouest : Remise de lettres de nomination aux infirmières et infirmiers

iciHaïti - PNH : Formation sur l’enquête administrative

iciHaïti - Qualif. Mondial 2027 : Nos Grenadières sénior à l’entraînement

iciHaïti - AVIS : Taxe de circulation à Dajabón pour les haïtiens à partir du 2 mars


+ de nouvelles


Haïti - Actualité : Zapping…

Haïti - Jérémie : La situation sanitaire et humanitaire de la Prison préoccupante

Haïti - Championnat National LHF : Nouvelles mesures organisationnelles et disciplinaires

Haïti - Technologie : Le Ministère du Tourisme franchi un cap décisif

Haïti - Qualif. U-20 Coupe du Monde 2027 : Victoire [4-0] des Grenadiers contre Saint-Vincent et les Grenadines


+ de nouvelles



Haïti - FLASH : Matthew, Haïti se prépare à l'impact
03/10/2016 20:18:42

Haïti - FLASH : Matthew, Haïti se prépare à l'impact

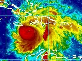
Les départements du Grand Sud, le Sud-Est, le Sud, la Grand'Anse et les Nippes commencent à ressentir plus fortement les effets de l'ouragan de catégorie 4 Matthew, mer agité, fortes vagues, coup de vent, sur le reste du pays des averses, pluies modérées et vents sont constatés. Sachant que le centre de Matthew est à 215 km des côtes sud d’Haïti (Port-Salut) et que les vents de tempête s'étendent jusqu'à 295 km du centre la prudence est de mise dans les régions côtières Sud.

Toutefois selon les dernières informations et la trajectoire actuelle, le centre de Matthew va approcher du Sud-Est d'Haïti ce soir, apportant vent et pluie en grande quantité.

À l'heure actuelle (7pm) le centre de l'ouragan de catégorie 4 Matthew, est situé à 325 km au Sud-Ouest de Port-au-Prince, 215km au Sud de Port-Salut, 315km au Sud-Ouest de Jacmel.

Matthew se déplace vers le Nord Nord-Est à 13km/h (se rapproche donc d'Haïti) un virage vers le Nord à une vitesse plus rapide vers l'avant est prévue plus tard ce soir au mardi soir. Un mouvement vers le nord-nord-ouest est prévu mercredi.

Selon la trajectoire prévue, le centre de Matthew abordera le sud-ouest Haïti ce soir, passer près de l'est de Cuba mardi soir (la région Nord-Ouest d'Haïti risque d'être affectée), et se déplacer à proximité ou sur des parties du sud-est et les Bahamas centrales mardi soir et mercredi.

Les vents maximums soutenus sont de près de 220 km/h avec des rafales encore plus fortes. Certaines fluctuations d'intensité sont possibles au cours des deux prochains jours, mais Matthew devrait rester un ouragan puissant jusqu'à mercredi.

Les vents d'ouragan s'étendent jusqu'à 40 miles (65 km) vers l'extérieur du centre et les vents de force de tempête tropical s'étendent vers l'extérieur jusqu'à 185 miles (295 km).

Le Centre national de météorologie (CNM) d'Haïti rappelle que Matthew pourrait apporter un Cumul allant de 300 à 600 mm de pluie dans les régions Sud du pays, de ce fait, les risques d'inondations sévères accompagnés de coulées de boues et des cas de submersions marines restent évidents à l'échelle du pays avec une intensité supérieure pour les côtes Sud.

La NOAA indique pour sa part que le Sud d'Haïti pourrait recevoir de 15 (380 mm) avec 25 pouces (635mm) de pluie, et jusqu'à 40 pouces (1016 mm / 1 mètre) dans des endroits isolés.

Les Conditions maritimes restent et demeurent extrêmement dangereuses avec des vagues pouvant arriver jusqu'à 10 pieds ou 3 mètres.

Evacuation

Bilan du COUN jusqu’à 4h30 p.m.

2049 personnes ont été évacués vers les abris provisoires.

Grand’Anse: 642 évacués

Nippes: 613 évacues

Sud: 475 évacués

Sud’est: 319 évacués

Dans l’ouest l’évacuation est initiée à Cité Soleil, Cité l’éternel et au Warf de Jérémie

Ressources matériels

Le Ministère de la défense ait prêt à être mobiliser 100 soldats du Corps du génie, 3 ingénieurs civils comme Superviseur, et aussi des équipements, excavatrice, backhoe loader et 1 camion mobilisable toute de suite pour 2 départements.

Le Centre national d’équipement peut mobiliser 20 camions, 2 loaders, 2 excavatrices.

Les composants d'ingénieurs de la Minustah sont prêt à soutenir les autorités haïtiennes sur demande et dans la capacité de la Mission.

Dégâts

Les villes de Dame Marie et Bariadelle sont inondées selon la COUN. Le cimetière de la commune d'Anse d'Hainault est déjà les pieds dans l'eau de la mer. La commune de Roche à Bateau est inondée selon le maire Fritznel Chery. Aux Cayes la mer commencé à monter est a envahit plusieurs rues de la ville. 30 maisons sont inondées à Tiburon. Une centaine de maisons ont été endommagé à Boucan Carré.

Santé

Les 10 hôpitaux départementaux sont ouverts et leurs services d’urgence fonctionneront 24 heures sur 24.

Police Nationale mobilisée

La Police Nationale d’Haïti est mobilisée au niveau des 10 départements pour prêter main forte dans le cadre des activités de gestion de l’ouragan Matthew. Elle met en œuvre de façon concertée avec les autres instances concernées, notamment la Direction de la Protection civile, son plan de contingence. La mobilisation est intensifiée dans tous les départements particulièrement au niveau de la presqu’ile du sud, c’est-à-dire dans les départements du Sud, du Sud-est, de la Grande-Anse, des Nippes, plus une bonne partie de l’Ouest. La PNH attend les instructions du COUN pour procéder aux évacuations dans les zones à risque. 100 policiers dans l’Ouest sont disponibles pour la sécurité des convois.

La PNH encourage tout le monde à appeler le 114, 38381111, 38371111, 38361111 en case de besoin d'assistance de la police.

Eau

Dans le Sud-Est ont été mobilisé 20 techniciens en eau potable et assainissement de la DINEPA, à travers les 10 COUC.

SMS

Plus de 25 millions de messages SMS ont été envoyé, 6 millions de personnes ont ainsi pu recevoir des conseils concernant les mesures relatives au passage de Matthew.

Message de la Première Dame

Nou tout wè oubyen konnen ki dega siklòn konn fè e ka fè, pandan nap priye pou dega yo pa twòp an’n pran tout prekosyon otorite yo mande nou pran yo; paske leta se nou, nou se leta.

Wòl pa nou se ede ou, akonpanye ou

òl pa ou kòm sitwayen se pèmèt nou ede ou, kolabore ak nou pou nou bay rezilta

- Si ou rete bò lanmè, bó ravin fòk ou deplase vit pa fè tèt di

- Byen materyèl se pa sa pou jere nan moman sa, vi ou pi enpòtan, men pandan wap deplase siw gen tan pase men pran pyès enpòtan ou nou vle pale de batistè ou, paspò ou e latriye….

- Wap bezwen manje, dlo, flash, pil, kit ijans menm e pa bliye.. telefòn ou se paw men fòk ou itilize li lew bezwen sèlman, sere ti chaj ou, siw angaje li ka itil ou pou rele mande èd.

Numéro d'urgence

PNH 114/122 ou 3838-1111

Ambulance 116

Croix Rouge 118

BPM 188

EDH 2212-2212

Pompier 2945-1111 ou 115

OAVCT 2942-1309

Pour toutes urgence pendant l'ouragan Matthew, seulement en cas d'urgence si vous avez des informations sur des personnes qui sont en urgence qui ont besoin de secours rapide, contactez vite les ressources du Centre Opération d'urgence départementale qui sont les responsables des différentes Cellules de Protection Civile du pays :

Moise Jean-Pierre Coordonnateur Central Protection Civile Urgence 48980453 (Port-au-Prince)

Nadia Lochard 48980305 (Ouest)

Jean Henri-Petit 48980306 (Nord)

Faustin Joseph 48980319 / 33734496 (Haut Artibonite)

Luckecy Mathieu 48980318 (Bas Artibonite)

Ronald Delice 48960565 / 48409696 (Sud-Est)

Rethone Jose 48960564 (Nord-Ouest)

Raymonde Jourdain 48980310 (Centre)

Fidele Nicolas 48980309 (Nippes)

Sylvera Guillaume 48980308 (Grand-Anse)

Tony Denis 48980307 (Nord-Est)

Lire aussi :

https://www.haitilibre.com/article-18807-haiti-flash-ouragan-matthew-premieres-victimes.html

HL/ HaïtiLibre



Twitter Facebook Rss
Envoyer l'article à... Nouvelles du Jour...
Read in English


Réagissez à cet article
Pseudo :
Email :

Votre adresse email ne sera pas divulguée - Commentaire refusé si votre adresse email est fausse


0 caractères saisis. | 1500 caractères restants.
Avant de réagir lisez notre charte de modération


 




Pourquoi HaïtiLibre ? | Contactez-nous | Charte de modération | Privacy policy | English
Copyright © 2010 - 2026
Haitilibre.com -n